Commercial Property
A freehold office building extending circa 16,720 sq.ft and located in a prime position whilst benefiting from two large car parks, currently producing £59,220 per annum on a part let basis.
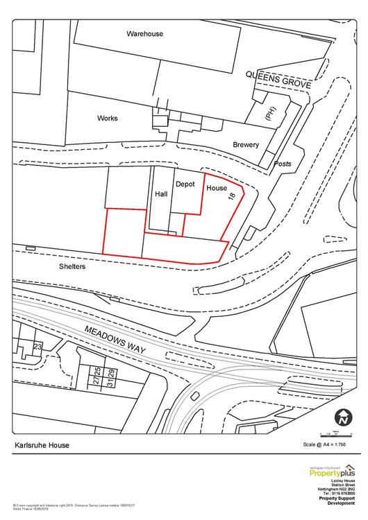
The building is located along Queens Bridge Road with two car parks accessible from Waterway Street. Nottingham train station is within a few minutes walk.
The property comprises a Victorian three storey building of brick construction currently part let and income producing with current rent passing of £59,220 per annum. Internally the building has been split into offices with 8 in total and upon inspection 3 were vacant. We have been advised that the ERV is circa £100,000 per annum.
We have been advised that a restriction for employment uses will be in place at the time of sale. The restriction for employment uses will be by way of Overage Deed, a draft of which appears in the legal pack. The Buyer will be required to enter into the Overage Deed simultaneously with completion of the land Transfer. We advise interested parties to inspect the legal pack for more information prior to placing their bid, as this will be binding.
Buyers are also advised that the Property is locally listed, though not formally listed with English Heritage.
Please note that a disclaimer as to undocumented rights of way appears in the legal pack and interested parties are advised to inspect and review this.
TENANCY SCHEDULE -
Unit 1 - 1,620 sq.ft. Vacant.
Unit 2 - 1,724 sq.ft. Vacant.
Basement - 2,981 sq.ft. Vacant.
Unit 3 - First Floor. Vacant. 1,495 sq.ft.
Unit 4 - First Floor. 1,960 sq.ft. Commencing 10/02/2024. £14,320.00 per annum.
Unit 5 - Second Floor. 1,495 sq.ft. Commencing 24/07/2020. £10,500.00 per annum.
Unit 6 - Second Floor. 1,960 sq.ft. Held on a 3 year lease commencing 26/08/2022 at £13,000.00 per annum.
Unit 7 - Third Floor. 1,475 sq.ft. Held on a 5 year lease commencing 25/03/2021 at £9,500.00 per annum.
Unit 8 - Third Floor. 2,010 sq.ft. Held on a 3 year lease commencing 16/04/2021 with rent passing of £11,900.00 per annum.
Total 16,720 sq. ft.
We noted a single 48 sheet advertisement panel located in the car park. We have been advised it was let to Primesight from 1st Oct 2013 with the sum of £3,500 pax + VAT. The fee being demanded is still £ 3,500 pax + VAT according to the council.
Interested parties are advised to inspect the legal pack for more information.
We are advised VAT is applicable.
Freehold. Part let/part vacant.
Auction Details
The sale of this property will take place on the stated date by way of Auction Event and is being sold as Unconditional with Fixed Fee.
Binding contracts of sale will be exchanged at the point of sale.
All sales are subject to SDL Property Auctions Buyers Terms. Properties located in Scotland will be subject to applicable Scottish law.
Auction Deposit and Fees
The following deposits and non- refundable auctioneers fee apply:
• 10% deposit (subject to a minimum of £5,000)
• Buyers Fee of £1,500 inc. VAT
The Buyers Fee does not contribute to the purchase price, however it will be taken into account when calculating the Stamp Duty Land Tax for the property (known as Land and Buildings Transaction Tax for properties located in Scotland), because it forms part of the chargeable consideration for the property.
There may be additional fees listed in the Special Conditions of Sale, which will be available to view within the Legal Pack. You must read the Legal Pack carefully before bidding.
Additional Information
For full details about all auction methods and sale types please refer to the Auction Conduct Guide which can be viewed on the SDL Property Auctions home page.
This guide includes details on the auction registration process, your payment obligations and how to view the Legal Pack (and any applicable Home Report for residential Scottish properties).
Guide Price & Reserve Price
Each property sold is subject to a Reserve Price. The Reserve Price will be within + or - 10% of the Guide Price. The Guide Price is issued solely as a guide so that a buyer can consider whether or not to pursue their interest. A full definition can be found within the Buyers Terms.





