Commercial Property
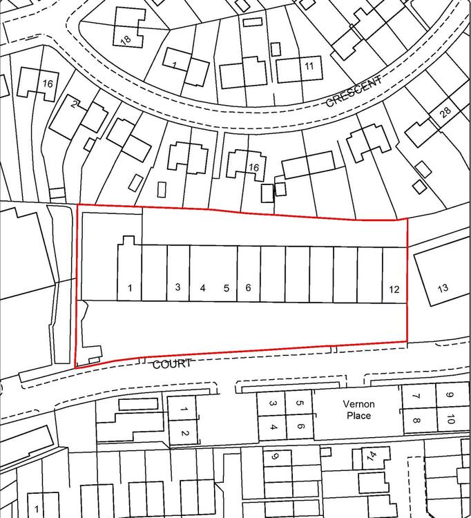
A modern freehold industrial/warehouse investment opportunity comprising 12 units totalling 1,449.28 sq.m/15,600 sq.ft (120.77 sq.m/1,300 sq.ft each - Gross Internal Area), each having a loading door and w/c facilities with parking to the forecourt area. Site area of approximately 0.46 hectares/1.14 acres.
The rent passing £91,145 per annum exclusive with one unit vacant. We are advised the vacant unit has an Estimated Rental Value of £10,400 per annum giving the investment a potential income of in excess of £100,000 per annum exclusive. Prospective buyers are advised to inspect the legal pack make and any other necessary independent enquiries before placing their bid, as this will be binding.
The site is located in the popular suburb of Basford less than 3 miles from Nottingham city centre and approximately 10 miles from J6 of the M1 motorway. The property is in an established location.
Please be advised that the auctioneers have not personally inspected the property. Prospective buyers are advised to make a viewing enquiry and any other necessary independent enquiries before placing their bid, as this will be binding.
The tenant of Unit 10 has given notice and therefore this unit will be vacant from 25 December 2023. Prospective buyers are advised to make all necessary independent enquiries prior to placing their bid as this will be binding.
Freehold. Commercial investment.
Auction Details
The sale of this property will take place on the stated date by way of Auction Event and is being sold as Unconditional with Fixed Fee.
Binding contracts of sale will be exchanged at the point of sale.
All sales are subject to SDL Property Auctions Buyers Terms. Properties located in Scotland will be subject to applicable Scottish law.
Auction Deposit and Fees
The following deposits and non- refundable auctioneers fee apply:
• 10% deposit (subject to a minimum of £5,000)
• Buyers Fee of £1,500 inc. VAT
The Buyers Fee does not contribute to the purchase price, however it will be taken into account when calculating the Stamp Duty Land Tax for the property (known as Land and Buildings Transaction Tax for properties located in Scotland), because it forms part of the chargeable consideration for the property.
There may be additional fees listed in the Special Conditions of Sale, which will be available to view within the Legal Pack. You must read the Legal Pack carefully before bidding.
Additional Information
For full details about all auction methods and sale types please refer to the Auction Conduct Guide which can be viewed on the SDL Property Auctions home page.
This guide includes details on the auction registration process, your payment obligations and how to view the Legal Pack (and any applicable Home Report for residential Scottish properties).
Guide Price & Reserve Price
Each property sold is subject to a Reserve Price. The Reserve Price will be within + or - 10% of the Guide Price. The Guide Price is issued solely as a guide so that a buyer can consider whether or not to pursue their interest. A full definition can be found within the Buyers Terms.






