Detached house
Set nicely back from the road on a deep plot extending to 0.34 acres or thereabouts, is a particularly attractive, traditionally built three bedroomed detached property requiring a scheme of improvement and modernisation and being offered for sale with immediate vacant possession.
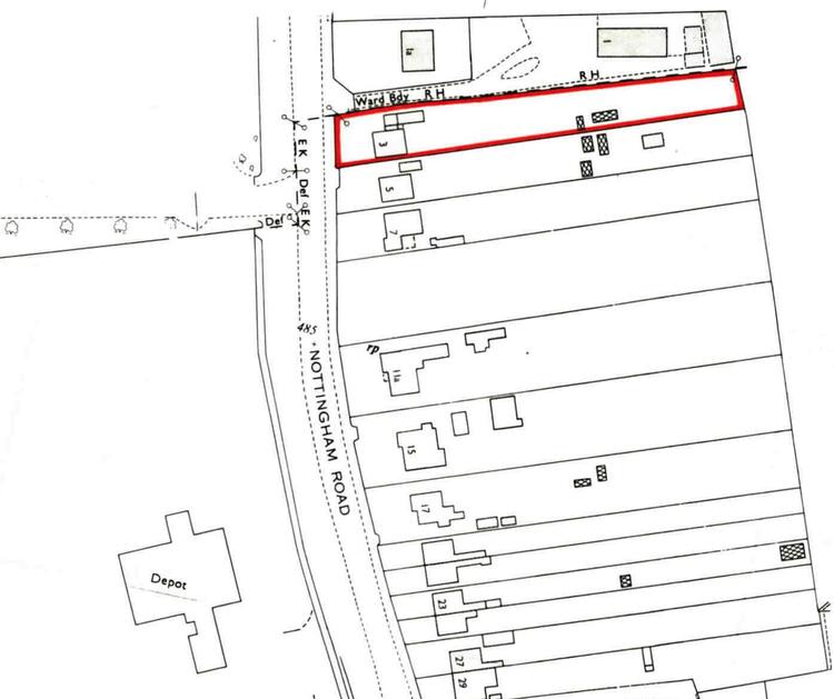
In our opinion there is scope for either a large extension or potentially a building plot subject to demolition of the exiting garage and the necessary planning consents.
Internally the uPVC double glazed and gas centrally heated living accommodation in brief comprises of entrance hallway with staircase, front sitting room with feature fireplace and bay window, a full width open plan fitted dining kitchen with ranger cooker and cast iron multi burner. Located off from the dining room is a large P-shaped uPVC double glazed conservatory over-looking the garden. To the first floor landing there are three well proportioned bedrooms and a family bathroom.
Outside there is a neat fore garden with adjacent driveway providing useful car standing space and leads to the larger than average garage measuring 24ft 5 x 15ft. To the rear there is an extensive patio area with lawn and boundary hedges that offer a certain degree of privacy.
Somercotes has an impressive range of facilities including a late opening Co-op, general store, medical centre, chemist, fast food outlets, public house and primary school. The M1/A38 are both accessed at junction 28 and provides swift access onto surrounding commercial centres of Nottingham, Derby, Mansfield and Chesterfield. Lying just off the A38 is The East Midlands Designer Outlet which provides retail opportunities, coffee shops and restaurants.
The double glazed entrance door opens into the hallway, with stairs rising to the first floor accommodation, coving to the ceiling, central heating radiator, dado rail and tiled floor.
With feature fireplace, double glazed window to the front elevation, two wall lights, TV aerial connection point, central heating radiator, coving to the ceiling and plate rack.
This is a spacious room with a range of wall and base units, incorporating drawers, central island, with glass fronted units, shelving, wine rack, counter tops, and complementary tiling to the wall and floor. There are built in appliances to include a range style cooker with three ovens, warming drawer with extractor over, side by side fridge and freezer. Single drainer sink unit with mixer tap, plumbing for automatic washing machine and double glazed window to the conservatory. Lying off the kitchen is a door to the double garage and pantry with light and shelving. The dining area has a brick feature fire with log burning stove, central heating radiator, two wall lights and double glazed sliding patio doors to the conservatory.
This is a sizeable conservatory with double glazed French doors opening onto the patio, two ceiling fan lights, wall lights, two central heating radiators, tiled floor, plumbing for washing machine, double glazed window to the side elevation and cupboard housing the fuse box.
With access to the loft space, coving to the ceiling, dado rail and central heating system.
With double glazed window to the front elevation, coving to the ceiling and central heating radiator.
With double glazed window to the rear elevation and central heating radiator.
With central heating radiator and double glazed window to the rear elevation.
With four piece white comprising: panel bath, double shower cubicle, pedestal wash hand basin, low level WC, complementary tiling, central heating radiator, coving to the ceiling and double glazed window to the front elevation.
With roller shutter door, wall mounted central heating boiler, door to the kitchen, two central heating radiators and two double glazed windows to the side.
To the rear of the property there is a substantial garden to the rear with spacious paved patio with steps down to a lawn and hedging. There is a concrete coal bunker and a further outbuilding, which is in need of repair. To the front there is a boundary wall, further lawn with mature flower and shrub borders. The driveway provides off road car parking and access to the double garage.
Solid brick as built no insulation (assumed) - Information taken from EPC.
Surface Water - Low Risk.
Standard 16 mbps, Superfast 79 mbps and Ultrafast 1000 mbps show as available in this location
EE, O2, Vodaphone and Three show as available in this location.
Sky and BT show as available in this location.
These sales details are awaiting vendor approval.
Freehold. Vacant possession upon completion.
- Heating Supply: Gas Central, Double Glazing
Garage, Off Street
Auction Details
The sale of this property will take place on the stated date by way of Auction Event and is being sold under and Unconditional sale type.
Binding contracts of sale will be exchanged at the point of sale.
All sales are subject to SDL Property Auctions Buyers Terms. Properties located in Scotland will be subject to applicable Scottish law.
Auction Deposit and Fees
The following deposits and non- refundable auctioneers fee apply:
• 10% deposit (subject to a minimum of £5,000)
• Buyers Fee of 1.2% of the purchase price (subject to a minimum of £1,500 inc. VAT)
The Buyers Fee does not contribute to the purchase price, however it will be taken into account when calculating the Stamp Duty Land Tax for the property (known as Land and Buildings Transaction Tax for properties located in Scotland), because it forms part of the chargeable consideration for the property.
There may be additional fees listed in the Special Conditions of Sale, which will be available to view within the Legal Pack. You must read the Legal Pack carefully before bidding.
Additional Information
For full details about all auction methods and sale types please refer to the Auction Conduct Guide which can be viewed on the SDL Property Auctions home page.
This guide includes details on the auction registration process, your payment obligations and how to view the Legal Pack (and any applicable Home Report for residential Scottish properties).
Guide Price & Reserve Price
Each property sold is subject to a Reserve Price. The Reserve Price will be within + or - 10% of the Guide Price. The Guide Price is issued solely as a guide so that a buyer can consider whether or not to pursue their interest. A full definition can be found within the Buyers Terms.



















