fbpx
My Favourites
Free sales valuation
We've unified our Auction Brands - Visit our new website here

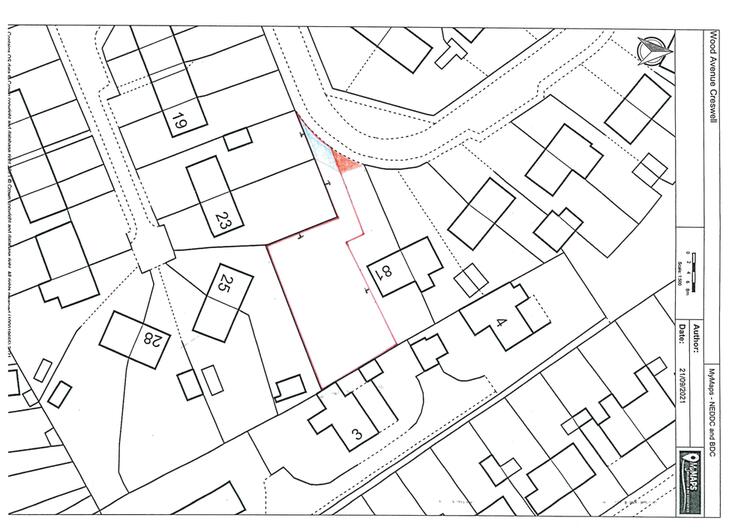
Land adj 81 Wood Avenue, Creswell, Worksop, Nottinghamshire S80 4EG

Lot no: 113 Sold Prior to Auction
 

Guide Price £25,000+ plus fees

Unconditional with Fixed FeeOn the fall of the hammer, the successful bidder will be legally bound to purchase the property. The successful bidder must immediately exchange contracts and pay the applicable deposit and Buyer’s Fee stated on the property description, both of which are non-refundable. The deposit contributes to the purchase price. The Buyer’s Fee does not contribute to the purchase price. Completion must take place usually within 30 days, unless the Special Conditions of Sale within the legal pack state otherwise.

Wednesday 27th March 2024

9.00am
Key Features
  • Parcel of land
  • Easily accessible
  • Possible development opportunity subject to planning permission
  • Transport links nearby
Sold Prior to Auction

We've unified our Auction Brands

If you're interested in this lot visit BTG Eddisons Property Auctions to book a viewing, submit an offer, send an enquiry and more.

View more details about this property on our new auction website

Land

Property Description:

A parcel of land with possible development potential for a single dwelling/bungalow subject to obtaining planning consent. Prospective buyers must make all necessary independent enquiries in this respect for their specific, intended use prior to placing their bid, as this will be binding.

The site measures approximately 554 square metres (5,963 square feet). The land is situated adjacent from 81 Wood Avenue, Creswell.

The site is easily accessible and parking is readily available nearby. There are many amenities close by and easy access to Creswell Crags and the beautiful Derbyshire countryside. There are regular bus services to the large towns, the train station with regular services to Worksop, Mansfield and Nottingham and easy access to the M1 J30.

Rights of Way, Wayleaves, Easements, Restrictive Covenants, etc

The site is sold subject to or with the benefit of any Rights of Way, Wayleaves, Easements, Restrictive Covenants, which may exist whether mentioned in these particulars or not. For further information in relation to these matters please refer to the legal pack.

Note

Please be advised that the auctioneers have not personally inspected the land. The photo and plans have been supplied by the seller. Prospective buyers are advised to make a viewing enquiry and any other necessary independent enquiries before placing their bid, as this will be binding.

Tenure:

Freehold. Vacant possession upon completion.




Auction Details

The sale of this property will take place on the stated date by way of Auction Event and is being sold as Unconditional with Fixed Fee.

Binding contracts of sale will be exchanged at the point of sale.

All sales are subject to SDL Property Auctions Buyers Terms. Properties located in Scotland will be subject to applicable Scottish law.


Auction Deposit and Fees

The following deposits and non- refundable auctioneers fee apply:

• 10% deposit (subject to a minimum of £5,000)

• Buyers Fee of £1,500 inc. VAT

The Buyers Fee does not contribute to the purchase price, however it will be taken into account when calculating the Stamp Duty Land Tax for the property (known as Land and Buildings Transaction Tax for properties located in Scotland), because it forms part of the chargeable consideration for the property.

There may be additional fees listed in the Special Conditions of Sale, which will be available to view within the Legal Pack. You must read the Legal Pack carefully before bidding.


Additional Information

For full details about all auction methods and sale types please refer to the Auction Conduct Guide which can be viewed on the SDL Property Auctions home page.

This guide includes details on the auction registration process, your payment obligations and how to view the Legal Pack (and any applicable Home Report for residential Scottish properties).


Guide Price & Reserve Price

Each property sold is subject to a Reserve Price. The Reserve Price will be within + or - 10% of the Guide Price. The Guide Price is issued solely as a guide so that a buyer can consider whether or not to pursue their interest. A full definition can be found within the Buyers Terms.
We've Unified Our Auction Brands