Land
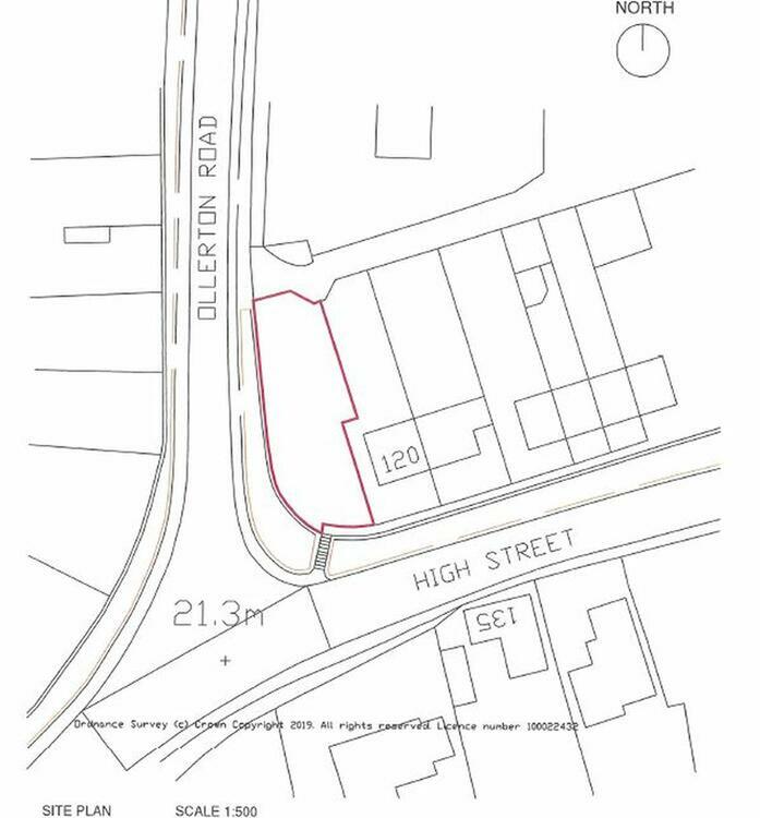
The site comprises a parcel of land located along High Street, Ordsall, Retford.
Full planning consent has been granted for the creation of a two storey residential dwelling.
Interested parties are advised to inspect the legal pack and the planning portal of Bassetlaw District Council number 19/01113/ful for more information. Prospective buyers are advised to make all necessary independent enquiries prior to placing their bid as this will be binding.
The site is situated on High Street next to number 120 and on the junction with Ollerton Road, which is located in Ordsall.
The site is within a residential area of mainly ex council housing stock well served by bus services. Retford railway station is les than a mile away with Co Operative supermarket within walking distance. The A1 lies approximately 3 miles to the West.
Freehold. Vacant possession upon completion.
Auction Details
The sale of this property will take place on the stated date by way of Auction Event and is being sold as Unconditional with Fixed Fee.
Binding contracts of sale will be exchanged at the point of sale.
All sales are subject to SDL Property Auctions Buyers Terms. Properties located in Scotland will be subject to applicable Scottish law.
Auction Deposit and Fees
The following deposits and non- refundable auctioneers fee apply:
• 10% deposit (subject to a minimum of £5,000)
• Buyers Fee of £1,500 inc. VAT
The Buyers Fee does not contribute to the purchase price, however it will be taken into account when calculating the Stamp Duty Land Tax for the property (known as Land and Buildings Transaction Tax for properties located in Scotland), because it forms part of the chargeable consideration for the property.
There may be additional fees listed in the Special Conditions of Sale, which will be available to view within the Legal Pack. You must read the Legal Pack carefully before bidding.
Additional Information
For full details about all auction methods and sale types please refer to the Auction Conduct Guide which can be viewed on the SDL Property Auctions home page.
This guide includes details on the auction registration process, your payment obligations and how to view the Legal Pack (and any applicable Home Report for residential Scottish properties).
Guide Price & Reserve Price
Each property sold is subject to a Reserve Price. The Reserve Price will be within + or - 10% of the Guide Price. The Guide Price is issued solely as a guide so that a buyer can consider whether or not to pursue their interest. A full definition can be found within the Buyers Terms.



