Leisure Facility
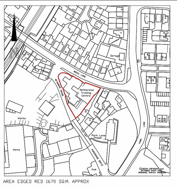
A freehold former Neighbourhood Centre located in Halesowen offered with vacant possession extending circa 5,500 sq.ft and sat on a site extending approximately 0.413 acres.
The building comprises a detached single-storey brick built former Neighbourhood Centre with main access point fronting Mogul Lane, Halesowen. The accommodation comprises main entrance, Hallway with alarm, Storage Cupboard along with a gymnasium extending 495 sq. ft having shower facilities(dilapidated condition). There is an office extending 450 sq. ft which has a partition wall creating two separate working areas. Beyond this, there are two separate halls extending 742 sq. ft and 430 sq ft in size respectively along with fire escapes. To the rear of the building which has been extended in more recent years there is a further office extending 193 sq. ft, male and female WCs, along with a further hall extending 656 sq. ft with a kitchen area.
Thought suitable for a variety of uses such as childcare, healthcare or office along with the possibility of a residential development all subject to planning approval. Prospective buyers are advised to make all necessary independent enquiries prior to placing their bid as this will be binding.
Externally, there is a car park for circa 25 vehicles and garden to the rear. We have been advised that the council have agreed that the car park can be used on 4th May for the 2023 May election and that completion will therefore be delayed to take place after that date.
The property sits in a mainly residential location with some light industrial use nearby. Halesowen, Quarry Bank and Cradley are all close by.
Freehold. Vacant possession upon completion.
Auction Details
The sale of this property will take place on the stated date by way of Auction Event and is being sold as Unconditional with Fixed Fee (England and Wales).
Binding contracts of sale will be exchanged at the point of sale.
All sales are subject to SDL Property Auctions’ Buyers Terms.
Auction Deposit and Fees
The following deposits and non- refundable auctioneer’s fee apply:
• 10% deposit (subject to a minimum of £5,000)
• Buyer’s Fee of £1074 inc. VAT
The Buyer’s Fee does not contribute to the purchase price and will be considered as part of the chargeable consideration for the property in the calculation of stamp duty liability.
There may be additional fees listed in the Special Conditions of Sale, which will be available to view within the Legal Pack. You must read the Legal Pack carefully before bidding.
Additional Information
For full details about all auction methods and sale types please refer to the Auction Conduct Guide which can be viewed on the SDL Property Auctions’ home page.
This guide includes details on the auction registration process, your payment obligations and how to view the Legal Pack.
Guide Price & Reserve Price
Each property sold is subject to a Reserve Price. The Reserve Price will be within + or – 10% of the Guide Price. The Guide Price is issued solely as a guide so that a buyer can consider whether or not to pursue their interest. A full definition can be found within the Buyers Terms.




















